環境・土木

建設・建築・空調・配管

自動車・ターボ機械

航空・宇宙

電気・電子機器

エネルギー・原子力

ナノテク・応用物理

半導体・燃料電池

化学プロセス

医学・医療・生体

高分子・化学工学・材料

鉄鋼・冶金

その他

トップページ熱流体事例分野別事例環境・土木事例トンネル火災

トンネル内での火災時の換気シミュレーション

トンネルでの火事が生じた場合、換気システムの狙いは人を避難させることにありあます。主要な換気システムは、縦方向と横方向になります。 縦方向の換気システムの狙いは、煙を火の下流に押し流すことにあり、横方向の換気システムの狙いは、層化を保つことにあります、 しかし、煙を長距離に広げると層が保てなくなってしまいますので、層を維持するために天井から煙を流出させます。

縦の換気システム
この換気システムについては、機能「ファン」を利用してモデル化しています。
ファンで与えている速度は、臨界速度より大きくしています。(臨界速度は、火の上流側に煙が流れてこない最小の速度です)


Figure 1. モデル図

ファンは、シリンダーの中央に設定しています。
ファンからの流れによって煙は火の下流に流されていることがわかります。

Figure 2.速度ベクトル図

 

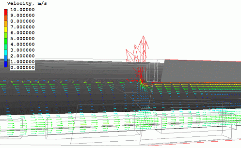
横の換気システム

トンネルの天井に流出口を設定しています。

 

Figure 3コンター図

phoenicsでは、換気装置のモデル化を行い、トンネル内での煙の拡散の現象を計算することが可能ということがわかります。




お問合せはこちらから


その他の環境・土木事例






©2005 Copyright Concentration Heat and Momentum Ltd. Welcome to this Web site ! since 8/Jan/1999